Muỗi anophen / Muỗi sốt rét

Muỗi Anophen
Phân loại
Loài: Côn trùng bay
Tên khoa học: Culicidae

Mô tả 

4 loài được mô tả trong bài viết gồm :

  • Anophele balabacensis
  • Anophele gambiae
  • Anophele stephensi
  • Anophele maculatus

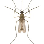
Muỗi trưởng thành có hình dạng thon nhỏ được chia thành ba phần : đầu, ngực và bụng. Phần đầu để  ăn và thu thập thông tin, ngực để vận động, và bụng để tiêu hóa thức ăn và phát triển trứng.

Muỗi Anophele có thể được xác định bởi vị trí nghỉ ngơi điển hình của chúng, bụng của chúng nằm chếch một góc trong không khí không phải song song với bề mặt mà chúng đang nghỉ ngơi.

Tập tính 

Hầu hết muỗi Anophele hoạt động vào lúc hoàng hôn và bình minh một số hoạt động vào ban đêm. Chúng là loài côn trùng bay yếu và không hoạt động trong điều kiện gió.

Chỉ có muỗi cái hút máu để phát triển trứng. Nó có thể đẻ khoảng 50-200 trứng mỗi lần rụng trứng. Trứng được đặt đơn lẻ trên mặt nước và sẽ nở trong vòng 2-3 ngày. Trong điều kiện nhiệt đới, phải mất 10-14 ngày để trứng phát triển thành con trưởng thành.

Muỗi cái có thể sống tới một tháng trong khi con đực sống khoảng một tuần.

Phân bố   

Được tìm thấy trên toàn thế giới ngoại trừ Nam Cực.

Môi trường sống 

Giai đoạn bọ gậy và quăng( lăng quăng) là loài thủy sinh. Các khu vực sinh sản có thể rất nhỏ - như vũng nước ở gần nhà hoặc ao và suối gần đó. Muỗi thường được tìm thấy nhiều ở ngoài trời và ở gần nơi chúng sinh ra .

Nguy cơ 

Ngoài việc là một loài gây hại, muỗi Anophele cái bị nhiễm bệnh còn có thể truyền bệnh đe dọa đến tính mạng đặc biệt là Sốt Rét khi chúng hút máu trên vật chủ.

Recommended products

Aqua K-Othrine EW
Chế phẩm diệt côn trùng

K-Othrine® 2 EW

Nhũ tương, Dầu trong nước

K-Othrine® 2 EW với công thức độc đáo cùng hoạt chất Deltamethrin, giúp diệt muỗi và ruồi trưởng thành nhanh chóng mà không cần pha loãng trong dầu

Xem sản phẩm
Aqua Resigen
Chế phẩm diệt côn trùng

Aqua Resigen®

Nhũ tương, Dầu trong nước

Aqua Resigen® 10.4 EW với hoạt chất Permethrin và S-bioallethrin là giải pháp tiêu diệt muỗi trưởng thành an toàn với người sử dụng nhờ khả năng tiêu diệt nhanh, không mùi, không cần pha loãng bằng dầu.

Xem sản phẩm

Các dịch hại khác

Mosquitoes - Aedes Caspius

Muỗi Aedes

Muỗi Aedes thích thời tiết ấm áp nhưng nghỉ ngơi vào thời...

Đọc thêm
Mosquito

Muỗi nhà

2 loại loài : Muỗi nhà thông thường (Culex pipiens) và Muỗi...

Đọc thêm